Click to enlarge Click to enlarge
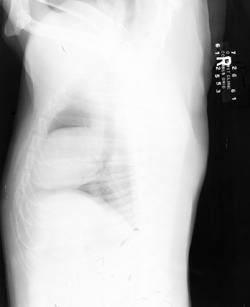
Underexposure, Rough Film Handling
Folding of film results in crescent-shaped artifacts which may be white or black, depending on how roughly the film is mishandled. White marks are pre-exposure, and black marks are post-exposure.

Go Backward Case Index Go Forward